LJ Hooker Southern Partners

Real Estate Agents

LJ Hooker Southern Partners
LJ Hooker Southern Partners
319 Great South Road
Papakura 2110
Listing #:
L33548522
Listed:
263 days ago

Price by Negotiation

Vendor Prepared to Meet the Market on Sections

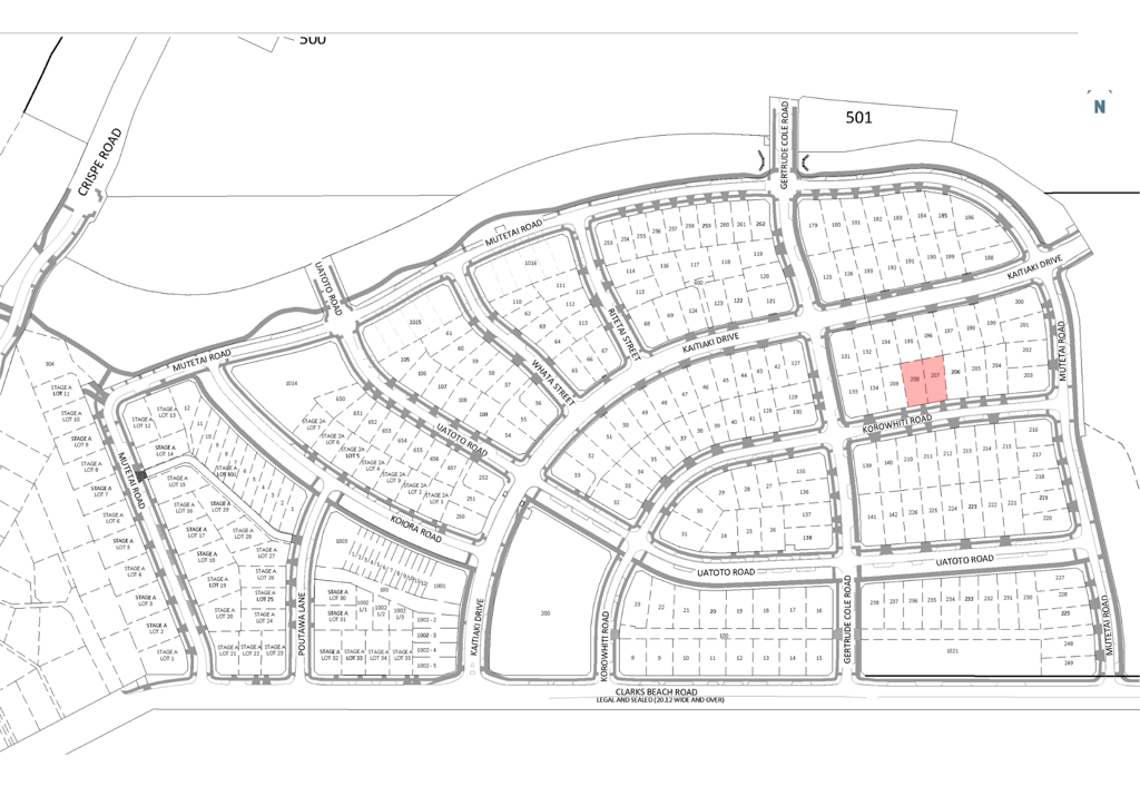
34 Korowhiti Road, Clarks Beach, Franklin
Other
landarea
426m2 Land Area
About this property
Meaning: A unique opportunity to secure a freehold section in Clarks Beach, offering a relaxed beach lifestyle.

SPACE
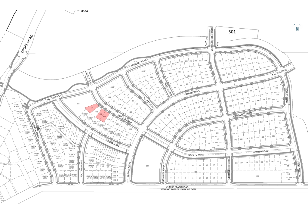
Discover the perfect location to build your dream home in Clarks Beach. Choose from a selection of premium freehold sections in the sought-after Korowhiti Road or Uatoto Road in the Clarks Beach Waterfront Estate. These sections range from 307m2 to 426m2 and starting from $369,000 plus gst (not including IGC). Providing the ideal foundation for a tranquil coastal lifestyle, where you can enjoy peaceful surroundings while being just moments from the waterfront.

CHOOSE FROM
• 34 Korowhiti Road - Lot 208 | 426m2
• 36 Korowhiti Road - Lot 207 | 415m2
• 3 Uatoto Road - Lot 650 | 394m2
• 5 Uatoto Road - Lot 652 | 309m2
• 5A Uatoto Road - Lot 653 | 307m2

FEATURES
• A short walk to the beach, local golf course, and Manukau Harbour for boating and fishing
• Close to schools, shops, and essential amenities
• Only 25 minutes from motorway access at Karaka/Papakura

LOCATION
Nestled in the picturesque Clarks Beach area, these sections offer a lifestyle of coastal charm and convenience. Enjoy morning beach walks, weekend golf, and fishing trips on the Manukau Harbour, all while being within easy reach of Auckland's key transport links.

OPPORTUNITY
Don't miss this rare chance to secure a prime section in Clarks Beach and bring your dream home to life. Whether you're seeking a peaceful seaside retreat or a family-friendly community, these sections offer endless potential. Contact Tony on 027 250 0399 today for further information and secure your future in Clarks Beach.
Check out whether you can get fibre internet
Meet your new neighbours on Neighbourly